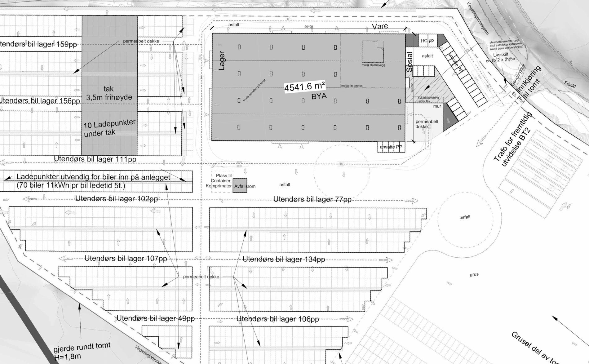
Næringsbygg på 5200 kvadratmeter i skreddersøm for klargjøring og ferdigstillelse av nye biler.
Point har tegnet skreddersøm for Bauda AS som er en av bilbransjens større forhandlerkjeder med salg av Toyota og Lexus. Bauda skal ha nytt senter for klargjøring og ferdigstillelse av nye biler i Fiskumparken langs E134 mellom Hokksund og Kongsberg.
Utenfor bygget skal det være plass til å lagre rundt 1000 biler. Senteret skal gi plass for verksted og sentrale fasiliteter for vask, polering, kosmetikk, dekk og alt som kreves før bilene leveres ut til nybilkjøpere. Fleksibilitet og logistikk er viktige stikkord for et vellykket klargjøringssenter.
Fiskumparken er et pågående tomteutviklingsprosjekt i Øvre Eiker kommune. Området er på 600 mål. Det er delvis utbygd og delvis under opparbeidelse og regulert til handel, logistikk og lager, industri og verksted, håndverk, produksjon, administrasjon og servicefunksjoner.
Bak parken står Vestaksen Eiendom. De har bygget og utviklet leiligheter, næringsbygg og -parker siden 2011. Inn i nybygget kommer en aktør med historiske røtter i bil over en tidsperiode på flere tiår.



